
Hallo,
Wij zijn nieuw hier, steeds veel informatie en tips gevonden, waarvoor dank, nu eigenlijk oprechte meningen nodig. Zoals het onderwerp aangeeft, staan we voor een hartverscheurende keuze... Freekje, onze dikke vriend, een benner sennenpup van 9 maanden oud heeft lpc aan beide ellebogen en daarbovenop nog hd aan de linkerheup. Operatie aan de voorpoten heeft een
Slaagkans van 75 %, dit statistisch gezien zonder verwijzing te maken naar zijn status. Na een revalidatie van 6 weken, met 25% dat de ingreep niet succesvol kan zijn, dient de heup nog aan bod te komen. Zeker nadat bij een revalidatie van de voorpoten, de heup zeker zal verslechteren aangezien rust in deze fase een must is en weinig beweging deze verder zal aantasten.
Voor de heup is er zelfs nog geen concrete oplossing aangezien het gewicht al meer dan 30 kg bedraagt en dit een groter risico betekent.... Na diagnose bij 3 dierenartsen met de nodige expertise kunnen we eigenlijk nog geen beslissingen nemen aangezien de meningen over de heup toch tegenstrijdig blijken... Een prothese voor de heup lijkt ons helemaal geen optie... Emotioneel willen we uiteraard laten opereren...en dan hopen dat de heup nog goed zal komen...
Het is zeer moeilijk om onze keuze niet te laten beinvloeden door het emotionele..Freekje is echt ons enig kind in huis maar zijn levenskwaliteit primeert voor ons..maar hoe bepalen we zijn levenskwaliteit? Zonder hierop een antwoord te kennen, kunnen we moeilijk een beslissing nemen over zijn leven...wat ik dagelijks zie, is een vriendje dat zijn lichaam onder controle dient te houden omdat zijn staartje zo hevig van links naar rechts vliegt als hij ons ziet...van blijdschap...niettegenstaande zien we hem ook dagelijks struikelen en manken, weliswaar zonder gejank van pijn. Moeten we hem besparen van die operaties? Wat zouden jullie doen?
Dit komt doordat het onderwerp niet meer recent is en in het hondenforum archief terecht ik gekomen.
Als je over "Rationeel vs emotioneel" wilt praten in het hondenforum dan kun je het beste een nieuw onderwerp aanmaken

Pfoe, da's wel een hele lastige, zeg.. Wat een vreselijke beslissing om te moeten maken..
75% kans is best wel redelijk. Als dat het enige was zou ik zeggen, doen. Maar die heup komt er ook nog bij kijken, natuurlijk.. Wat een ellende..
Gunther.. Als IK dit had geschreven over MIJN hond.. Even objectief gezien - wat zou jij mij dan als advies gegeven hebben?

Terechte opmerking maar het is heel moeilijk om een objectieve beslinging te nemen vandaar deze wrede vraag...

Het was niet om je terecht te wijzen o.i.d., het was meer om te proberen je er écht objectief naar te laten kijken.. Snap dat dat heel moeilijk is, hoor! Sorry dat ik niet meer advies kan geven..

Pfoei..... Da's heftig! Mag ik je vragen bij welke artsen je bent geweest?
Hier hebben wij voor een soortgelijke keuze gestaan met onze Berner Sam ( zonder de heup) en dat verhaal heeft uiteindelijk een bizarre wending gekregen ( in ons voordeel). Wij hebben ook voor de vraag gestaan "wat wordt de kwaliteit van leven van onze Sam" en "in welk geval moeten wij hem laten inslapen"... De kosten van een dergelijke operatie met genoemd slagingspercentage hielden ons even tegen.. Gelukkig hebben wij hierna een arts gevonden die zeer geschoold en overtuigend was ( Hopmans in Roden) en bleek er nog een andere diagnose te zijn. Voor ons liep het met een sisser af. Maar voor mijzelf had ik al besloten dat een jonge hond een jonge hond moet kunnen zijn, zonder levenslange grote beperkingen. Op dit forum heb ik ook veel geleerd, met name dat de hond het zelf veelal heel goed aan kan geven wanneer het genoeg is, maar of je zo'n jonge hond tot dat punt wilt laten komen is een de vraag die jullie zelf moeten beantwoorden. Ook zie ik veel honden die prima (!) herstellen van een dergelijke operatie en
ook honden die oud worden met slechte heupen..
Ik hoop dat jullie eruit komen! Heel veel sterkte met beslissen..

Osteopaat in oud-turnhout, kasterlee en retie. Alle 3 dezefde diagnose enkel als we info over operatie van de heup vragen dan zijn ze het niet eens gezind. Verwijderen van de femurkop ( eenvoudigste operatie voor heup blijkbaar) mogelijk / niet mogelijk bij zware rassen, 1ne zegt perfect mogelijk andere zegt no way...
Uitgelopen op een sisser, klinkt verontrustend pfff.

Gunther ,misschien kan je een topic openen met specifiek de vraag of er hier mensen zijn die deze operatie hebben laten uitvoeren op hun Berner Sennen. Hoop dat de meningen van mensen je kunnen helpen een beslissing te nemen voor jou hond.Heel veel sterkte.

Ik denk dat de hond te zwaar is om de heupkop te verwijderen, misschien een bekkenkanteling of een kunstheup. Ik zou de hond nog een leuke tijd geven indien mogelijk, en dan toch afscheid nemen want het ziet er niet rooskleurig uit. Het klinkt misschien hard, en natuurlijk niet zo bedoelt, maar dat is wel wat ik had gedaan:-(. In ieder geval veel sterkte met deze zware beslissingen.

Ai,ai,ai...ellendige situatie voor Freekje.
Veel mensen hier zullen het wel eens gedacht hebben denk ik.
Wat nu als m'n hond dit of dat zou krijgen, wat zouden we dan doen.
Emotie, rationeel zoals je beschrijft.
Pfff.
Ik ben bang dat...tja.
Bij Berners weet ik het niet, maar ik ken 1 . of nee, 2 Landseers waarbij de correctie van het lichaam nog veel meer schade begon te geven.
Dus het linker achter gewricht was beschadigd, stukjes kraakbeen afgebroken..kan natuurlijk.
Linker achtergewricht geopereerd, waardoor de hond rechts opeens meer ging gebruiken.
Wat bleek, dat rechter gewricht was het meest pijnlijke , en gebruikte de hond stukken minder dan de linkse, gevolg dat links extra was gaan slijten.
Na de operatie bleek de ruggegraat dusdanig vervormt te zijn door de op jonge leeftijd verkeerde bewegingen van de hond..
Nouja, ik heb het hele verhaal aangehoord, en de mensen stonden in tranen toen ze vertelde dat ze de hond al op 2 jarige leeftijd hebben laten inslapen.
Of een heel leven aan de pijnstillers, ontstekingsremmers , met alle klachten van dien.
Ik hoef niet in de ogen van Freek te kijken, jullie wel.
Maar ik denk dat wij het niet zouden doen,dus geen behandeling.
En da's makkelijk geschreven vanaf hier..ik weet het.
Maar wij zitten niet in die hondenogen te kijken.... *zucht*.
Hoe dan ook .
Heel veel sterkte met welke beslissing dan ook.

Pfff wat een narigheid. Arme Freek en arme jullie.
Ik heb ervaring met een Berner en met ellenboog problemen.
Wij hebben er toen voor gekozen om haar aan de ellenbogen te laten opereren.
Geen ervaring met HD.
Van de ellenbogenoperatie op zich hebben wij geen spijt gehad. De operatie is goed geslaagd.
Maar, als ik had geweten wat ik toen had geweten ,zou ik misschien anders gehandeld hebben.
Na de ellenbogen, kwam er een gescheurde knieband en dat kwam weer door het proberen op te vangen van spondylose. Door daar naar te gaan lopen.
Persoonlijk denk ik dat als een Berner eenmaal problemen heeft, het heel goed mogelijk is dat de individuele problemen zijn op te lossen, maar dat er ergens iets fout is gegaan en dat het skelet gewoon niet goed in elkaar zit c.q is opgebouwd.
Het was qua karakter een wereld hond en is haar hele leven vrolijk gebleven, maar de kwaliteit van haar leven was niet zoals het hoorde en ze heeft wat af gerevalideerd. Op het laatst leefde ze met pijnstillers en we hebben haar voor haar achtste jaar in laten slapen.
Wat je moet doen, ik weet het niet, want hemel wat hou je van zo een hond en laten inslapen met 9 maanden is een drama. En is voor je gevoel zo onnatuurlijk.
Maar welk drama er jullie nog staat wachten weet niemand en misschien valt het mee, maar misschien ook niet.
Ik wens jullie heel veel sterkte met een beslissing.


dit is een hele moeilijke. toen ik het verhaal net las, was mijn eerste reactie: niet doen, bespaar hem de pijn en geef hem rust.
maar toen begon ik weer te denken: ja, maar hij is nog zo jong, is de kans op herstel dan niet groter? moet je hem die kans ontnemen?
waarschijnlijk dus precies het tegenstrijdige waar jullie ook mee zitten.
je zou de voorpoten wel kunnen laten doen, en de heup proberen mobiel te houden dmv supplementen. als zijn voorpoten helemaal genezen, kun je dan alsnog overwegen om toch die heup-operatie te doen.
maar als het mijn eigen hond was, zou ik het hem niet aandoen. dit alles gaat hem ontzettend veel pijn doen, en een pup hoort vrij en blij te kunnen bewegen, terwijl hij dan heel lang rustig zal moeten blijven. voor mij zou dit de zwaarste afweging zijn, voor een pup zou ik dat geen hondwaardig bestaan vinden, omdat hij niet meer kan doen wat een pup graag doet.

Jeetje wat lastig en vooral emotioneel voor jullie om hier een uiteindelijke keuze in te moeten maken.
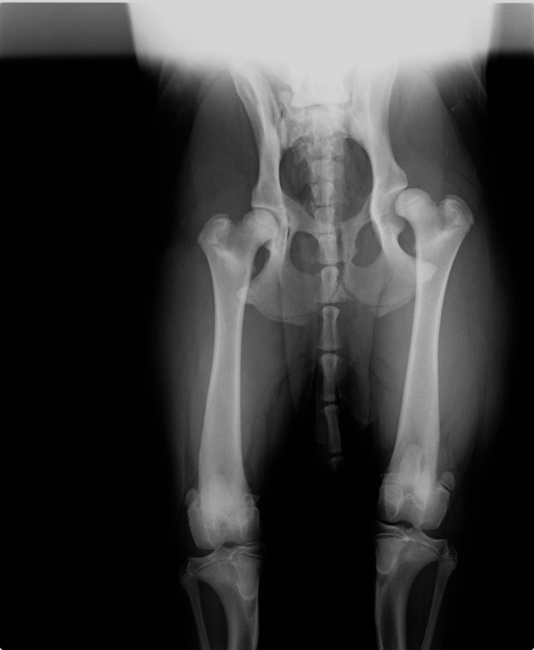
Ik zet even als je het goed vind (geef anders even een PB-tje dan haal ik hem weg) je röntgen foto uit je profiel hierbij, zodat andere het ook makkelijker kunnen zien en misschien je verder mee kunnen helpen.
(foto van Gunther's profiel)

Ik heb zelf geen ervaring met beide operaties dus kan je daarin ook niet verder helpen.
Wil jullie alleen veel sterkte en wijsheid wensen in het maken van een keuze.

ben ik nou blind? die andere heup is toch ook niet goed? ze vallen beiden niet in de heupkommen. het lijken de heupen van cash wel, en dat voor zo'n jonge hond


een hd a foto.... de foto boven daar ligt de hond niet echt recht.

dat hij niet recht ligt klopt, ik hoop dan ook dat ze betere foto's hebben om hun diagnose mee te staven.

Ik weet niet of je verzekerd ben met je hond, maar kan je niet na de eerste operatie fysiotherapie doen om de heupen fit te houden? Als dat financieel niet haalbaar is, zou je mss info kunnen inwinnen met hoe je zelf de heupen fit kunt houden?

Gunther, nieuwe fotoos maken ? niet nodig, je arts weet wat je hond nu mankeert, hij heeft echt een conclusie getrokken hoor.
overleg nog eens, vraag naar de kosten en of het de moeite waard is, even rationeel, maar dat komt er ook bij.
en wat de revalidatie inhoudt, een jonge hond, is de revalidatie een half jaar en de toekomst is voor je hond dan ook rooskleurig, het overwegen waard.
je zou de hond kunnen laten opereren eerst alleen de voorpoten, revalideren, en dan zorgen voor een goede opbouw wat de heup betreft, zwemmen, je zit in het goede seizoen, je kan kosteloos samen met je hond gaan zwemmen. samen. zodat tie onbelast beweegt, overlegt het met je arts.

Dé vraag....en dan de moeilijkste....
Van achter mijn schermpje en vanwege de kosten en het lange revalideren, het onzekere resultaat....zeg ik; bespaar het je hond.
En dan de emotionele kant.....ik ken mensen met een newfoundlanderpup van een heel goede fokker, die bij hen terecht kwam na een overlijden van hun vorige Newfy, en een dubbele HD had....de fokker wilde de pup terugnemen (de kosten van een operatie waren heel hoog, de rest ken je; kosten, fysio...)
Maar het koppel zag de pup ook al als 'kind'; evenveel waard en dus hebben ze gespaard voor die operatie.
Een vrij en zorgeloos leven is het nooit, maar dit was hun keuze, en ja, de omgeving vond dat ze niet goed wijs waren.
Wat jij nu moet beslissen....
Heb je al contact gehad met Merelbeke?
Ik vermoed dat je bij Venhei bent geweest in Kasterlee; die zijn wel goed onderlegd.

Ik ga donderdag nog naar een andere dierenarts, we nemen dan onze beslissing, zo zijn we zeker dat we al het mogelijke onderzocht hebben...

Gunther, ga naar een goeie orthopeed. vraag de fotoos van je dierenarts op. neem ze meem.
overleg samen en kijk wat deze orthopeed zegt, als er een goede toekomst in zit, dan zou ik het zeker doen.
Allereerst wil ik even melden, dat rationaliteit en emotionaliteit niet los van elkaar staan. Ze zijn juist heel sterk met elkaar verbonden. Zonder emotie bestaat ratio ook niet.
Dat is ook van de redenen waarom Robots niet rationeel kunnen denken.
Maar dit gaat misschien heel bot klinken (zo is het zeker niet bedoeld), maar wat is nu het daadwerkelijke probleem?
Natuurlijk is het niet leuk. Alleen de kans van slagen is gewoon 75 %, dat is echt heel erg hoog. Dan moet je er toch gewoon voor gaan?

mijn berichtje is alleen ter volledigiheid en ik weet niet eens of jouw hond daarvoor in aanmerking zou komen hoor, maar zou goudacupunctuur niets zijn voor jouw hond?
Als het mijn hond was zou ik deze dr. Schulze bellen en hem advies vragen of dit misschien een optie is
http://www.omarmdetijger.nl/dier2.htm
hier nog een oud topic met ervaringen
http://www.hondenpage.com/hondenforum/5249/goudacupunctuur.php
Dit komt doordat het onderwerp niet meer recent is en in het hondenforum archief terecht ik gekomen.
Als je over "Rationeel vs emotioneel" wilt praten in het hondenforum dan kun je het beste een nieuw onderwerp aanmaken
Zoek je iets op de HondenPage ? Vul dan hier jouw zoekwoorden in ?