
Abby is goed op weg om een goede ''mommy-to-be'' te worden!
Ze heeft haar karaktertest met glans doorstaan, is vrij van DM en dwerggroei en heeft voor haar uiterlijk ook een uitmuntend.
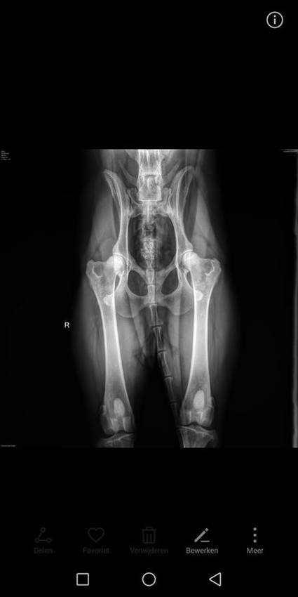
Ze is vorige week 2 jaar geworden en nu is het dus tijd voor haar röntgenfoto's...
Morgen gaan we die dus laten maken!
Ik heb besloten om ook haar rug mee te laten röntgenen, naast haar ellebogen en heupen dus. Omdat we toch intensief willen gaan sporten (steppen, langere trails, etc etc) wil ik zeker weten dat ook haar rug goed in elkaar zit.
Daarnaast wordt ze meteen getest voor Patella Luxatie.
Een spannende dag voor ons meisje dus!

3 doggies 
Ahh dat klinkt allemaal heel erg goed!
Heel veel succes en verwen je meisje maar goed.
3 doggies 
Heel veel succes en wat verstandig van je dat je dat je ook de rug mee neemt, ook al is dit niet verplicht!

Intussen zijn we natuurlijk allang geweest, maar ben vergeten een update te plaatsen!
Abby heeft HD A, is ED vrij en ook Patella Luxatie is ze vrij van!
Haar rug waren ook geen bijzonderheden te zien.
De dierenarts was zeer tevreden en vond haar ook een zeer geschikte kandidaat voor de fok :)

3 doggies 
Tamara worden deze foto's nu ook beoordeeld door de raad van beheer of hoe werkt dat met een tamaskan.ben ik benieuwd naar
3 doggies 
Nee het is geen erkent ras, er zijn een aantal dierenartsen die dat zelf kunnen beoordelen, waar je dat kan laten doen
3 doggies Oh oke ik vroeg het me inderdaad af hoe dat dan in zn werk gaat

Wat Laura zegt inderdaad.
Het kan wel hoor, laten keuren door Raad van Beheer. Maar heel eerlijk vind ik dat alleen maar zonde van mijn geld...
De dierenartsen die zijn goedgekeurd door de rasvereniging maken ook foto's voor de RvB en hebben ook verstand van zaken. Ik heb in ieder geval alle vertrouwen in ze :)
3 doggies 
"Wordt bij de raad niet de foto’s beoordeeld door meerdere DA’s? Ik dacht dat in belgie wel zo is dus ik zie daar wel een meerwaarde van in als je een “uitslag” wil. Maar het kost natuurlijk wel wat :D

"Geen idee eigenlijk.
Sowieso worden de uitslagen van mijn honden door 3 individuele dierenartsen bekeken.
Bij Aiden zagen ze alle drie hetzelfde gelukkig hahaha
Zoek je iets op de HondenPage ? Vul dan hier jouw zoekwoorden in ?