
We hebben van Tynam en Eazy heupfoto's laten maken bij Hopmans in Roden:
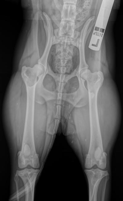
Tynam:

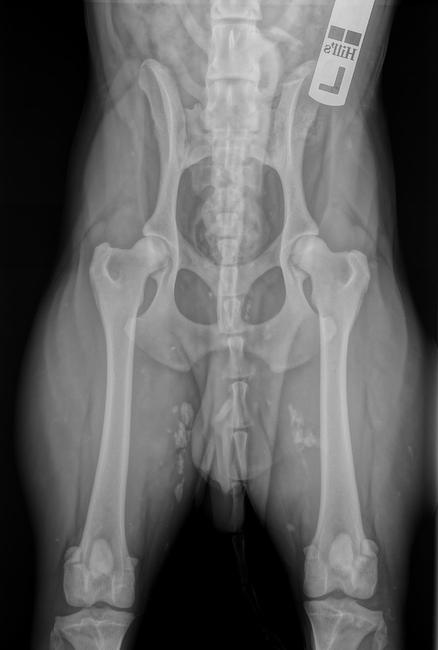
Eazy:

Volgens dhr. Wientjes zagen de heupen er erg mooi uit. Hij mag natuurlijk geen beoordeling geven maar gaf wel aan dat we ons geen zorgen hoeven te maken.
Alleen moet ik mijn honden eerst borstelen voordat ik foto's laat maken.... Er zitten allemaal vlekken op de foto's, dat is dus modder!! Tja, we trainen vaak bij de schapen, dus ze zitten vaak onder de modder, nooit bij stil gestaan dat je dit op de foto's zo duidelijk ziet.
Spannende weken, zodra we de uitslagen hebben zal ik die hier ook vermelden.
Dit komt doordat het onderwerp niet meer recent is en in het hondenforum archief terecht ik gekomen.
Als je over "heupfoto's laten maken" wilt praten in het hondenforum dan kun je het beste een nieuw onderwerp aanmaken
3 doggies 
Zien er volgens mij goed uit.
Waarom heb je foto's laten maken als ik vragen mag?

Oeps, had de vraag van Suus niet goed gelezen
Ja, als alle testen goed zijn dan hopen wij met de honden in de toekomst te kunnen fokken. Eazy is door vererving DNA CEA vrij. Maar helaas doordat de moeder uit Engeland is gehaald, heb ik geen uitslag van haar test op papier. Dus beide zullen ook nog DNA getest worden. Ook de jaarlijkse ogentest, de aanlegtest en functioneel exterieur moeten nog gedaan worden.
3 doggies 
Nou als Wientjes zegt dat het er goed uit ziet, kan je daar ook wel vanuit gaan.
Echt super vent vind ik het!
3 doggies 


3 doggies 
Worden bij jullie zo een grote hd foto genomen met half lichaam erbij ? Hier de kop in het groot en dat hebben we ook in Nl laten doen,
Veel succes ik duim mee
3 doggies 

3 doggies 

het ziet er mooi uit, nu even afwachten, ben benieuwd.
3 doggies 
hij ligt wat scheef. Maar als je kijkt naar de gaten van de heupen zijn deze even groot (en dat is niet zo als hij scheef zou liggen). En het middelpunt van de heupkoppen ligt bijderzijds zo te zien mooi binnen de kommen.

Hoe lang duurt het, dat je de officiële uitslag krijgt. Als ik het me goed herinner komt dat van een bepaalde stichting. Ik weet de naam niet meer zo. Bij onze vorige hond een Duitse herder hebben we ook foto's laten maken. Dit was omdat mijn man de africhting mee wilde doen. En heeft gedaan, omdat de heupen goed waren.

hij ligt wat scheef. Maar als je kijkt naar de gaten van de heupen zijn deze even groot (en dat is niet zo als hij scheef zou liggen). En het middelpunt van de heupkoppen ligt bijderzijds zo te zien mooi binnen de kommen.
"
3 doggies Wat spannend Gea!
3 doggies 
Uhh is die van Tynam opgestuurd??
Deze ligt enorm scheef en de knieën zijn niet echt ingedraaid...
Mijn da zou zo'n foto niet opsturen,hoor.
bij Eazy zijn de knieen wel ingedraaid maar ook die ligt echt scheef...
3 doggies 
hij ligt wat scheef. Maar als je kijkt naar de gaten van de heupen zijn deze even groot (en dat is niet zo als hij scheef zou liggen). En het middelpunt van de heupkoppen ligt bijderzijds zo te zien mooi binnen de kommen.
"
3 doggies 
We duimen voor goede uitslagen dan !!
Bij onze Nos was op de HD foto's te zien dat hij stenen eet, je zag ze zo zitten in zijn maag
3 doggies 
Ik hoop voor je dat de foto's goed zijn! Zo op het eerste oog zien ze er netjes uit, maar indd, de foto's zijn wel wat scheef. Maargoed, neem aan dat zo'n dierenarts geen foto's opstuurt die mogelijk niet goed gekeurd worden dus dat zal wel goed zitten.
Ik wil binnenkort zelf ook de heuptest gaan doen maar twijfel nog waar. Wat heb jij voor de test betaald per hond?
3 doggies 
(Niet goedgekeurd in de zin van dat de kwaliteit van de foto onvoldoende is voor beoordeling.)
3 doggies 
Was mij ook al opgevallen dat ze zo scheef zijn.... Dat zou mijn da ook niet opgestuurd hebben denk ik.. Die is echt pietje precies, heeft bij Ivy wel 5 foto's gemaakt voor ie tevreden was, omdat ze dus eerst ook niet goed recht lag..
Ik heb de uitslagen altijd wel binnen 2/3 weken na de betaling, gaat meestal vrij snel.
Mocht je er trouwens zelf niet bij zijn? Ik ben bij alle fotos zelf geweest om mn hond een prettiger gevoel te geven en te kalmeren..
3 doggies 
Maarten kappen in eersel maakt hele goede fotos officieel voor 140 geloof ik zo uit mn hoofd
Dit komt doordat het onderwerp niet meer recent is en in het hondenforum archief terecht ik gekomen.
Als je over "heupfoto's laten maken" wilt praten in het hondenforum dan kun je het beste een nieuw onderwerp aanmaken
Zoek je iets op de HondenPage ? Vul dan hier jouw zoekwoorden in ?